Pepeavilenho

Meteo Tropical
*****
Supercélula
Mensajes: 9,298
Ubicación: Avila (1200m)
En línea
Futura Melissa en breve, parece será un buen bicho



1. Caribbean Sea (AL98):
A large area of showers and thunderstorms persists over the eastern
Caribbean Sea to the east of a tropical wave.  The system still
appears to lack a closed surface circulation, but environmental
conditions are soon forecast to become more conducive for
development. 
* Formation chance through 48 hours...high...90 percent.
* Formation chance through 7 days...high...90 percent.



rayo_cruces

aaa
*******
Supercélula
Mensajes: 6,786
"The long black cloud it`s coming down..."
Ubicación: Cuba
En línea
El NHC comenzará a emitir avisos sobre la Tormenta Tropical MELISSA a las 11EDT, es decir, dentro de un rato.

Saludos 8)
CRUCES, Cienfuegos, CUBA 22º 20`N; 80º 16`W; 90-100 msnm
Lluvia Med. Hist 1456 mm Temp. Seca(nov-abril) 288mm Temp Lluv.(may-oct) 1200mm, Record Hist diario: 1 Jun 1988 aprox 500mm
Temperaturas   Med. anual 25.3ºC  Feb. 20.7ºC Julio 28.2ºC  Max. 36.2ºC 02/05/09 Min. 6.2ºC 15/12/10
Desde el centro de Cuba donde tenemos rayos a montones y algún tornadito además de los huracanes que todos conocen.

gdvictorm

Administrador/a
*****
Supercélula Tornádica
Mensajes: 12,509
Ávila 19-mayo-2007 (tornado NSP, Valle Amblés)
Ubicación: Ávila (1130 msnm)
En línea
Lo que ven los modelos es bastante caótico. Permanecerá casi estacionario y después, ya a finales de semana, comenzará a desplazarse al norte pudiendo afectar a Jamaica, Cuba o Haití dependiendo de lo que haga. Además casi todos los escenarios apuestan por una intensificación muy considerable en cuanto disminuya la cizalladura, algo lógico teniendo en cuenta la temperatura que conserva el mar en esa zona y la ausencia de aire seco.

De momento continúa con una intensidad similar: 45 Kt - 1003 hPa.


Un saludo.
San Martín de la Vega del Alberche (1524msnm)
Ávila . Zona Norte (1130msnm)
Zaratán (Valladolid)  (750msnm)

rayo_cruces

aaa
*******
Supercélula
Mensajes: 6,786
"The long black cloud it`s coming down..."
Ubicación: Cuba
En línea
Ayer escribí un post entero hablando de modelos, de lo complejo del pronóstico, cada modelo da una solución distinta a los demás pero para más cada modelo es consistente salida a salida, y se me quedó todo en "Previsualizar".

Pero en ese post definía a MELISSA en dos palabras "Peligrosa e Impredecible". Sistema muy peligroso y sin que gane mucho en intensidad puede causar mucho daño, ni hablamos ya que sea un huracán importante.

Saludos 8)
CRUCES, Cienfuegos, CUBA 22º 20`N; 80º 16`W; 90-100 msnm
Lluvia Med. Hist 1456 mm Temp. Seca(nov-abril) 288mm Temp Lluv.(may-oct) 1200mm, Record Hist diario: 1 Jun 1988 aprox 500mm
Temperaturas   Med. anual 25.3ºC  Feb. 20.7ºC Julio 28.2ºC  Max. 36.2ºC 02/05/09 Min. 6.2ºC 15/12/10
Desde el centro de Cuba donde tenemos rayos a montones y algún tornadito además de los huracanes que todos conocen.

rayo_cruces

aaa
*******
Supercélula
Mensajes: 6,786
"The long black cloud it`s coming down..."
Ubicación: Cuba
En línea
Una mirada a los modelos para que veamos lo complejo del pronóstico de MELISSA. Sumo además los ensembles del GFS, son dos mundos a la derecha MELISSA saliendo al NE en la primera vaguada el fin de semana, TT o Huracán Cat. 1, a la izquierda pura pesadilla, MELISSA no es arrastrada por la primera vaguada y espera a una segunda a mediados de la próxima semana, consecuencia mas tiempo sobre aguas muy cálidas y cizalladura en descenso dando un huracán de gran intensidad sobre Jamaica y Cuba.
CRUCES, Cienfuegos, CUBA 22º 20`N; 80º 16`W; 90-100 msnm
Lluvia Med. Hist 1456 mm Temp. Seca(nov-abril) 288mm Temp Lluv.(may-oct) 1200mm, Record Hist diario: 1 Jun 1988 aprox 500mm
Temperaturas   Med. anual 25.3ºC  Feb. 20.7ºC Julio 28.2ºC  Max. 36.2ºC 02/05/09 Min. 6.2ºC 15/12/10
Desde el centro de Cuba donde tenemos rayos a montones y algún tornadito además de los huracanes que todos conocen.

Gonza

****
Cb Calvus
Mensajes: 1,424
La Algaba (12 msnm)
  1. gonzacz@hotmail.com
Ubicación: La Algaba (Sevilla)
En línea
Durante el fin de semana Melissa va a experimentar una rápida intensificación. Lento desplazamiento... ojo cerca de tierra...alta probabilidad de catástrofe en Jamaica. También muy preocupante la situación para Cuba. Mira que estábamos teniendo una temporada tranquila en el Caribe, pues al final va a explotar.
Santa Olalla del Cala (Huelva) 390 msnm
La Algaba (Sevilla) 12 msnm

gdvictorm

Administrador/a
*****
Supercélula Tornádica
Mensajes: 12,509
Ávila 19-mayo-2007 (tornado NSP, Valle Amblés)
Ubicación: Ávila (1130 msnm)
En línea
Con los datos del vuelo de reconocimiento en mano, Melissa ya es probablemente un huracán, se están reportando vientos tanto a nivel de vuelo como en superficie en torno a los 70 kt. Desde luego se aprecia una clara organización e intensificación de la rotación en las imágenes de esta mañana.



En el último parte del NHC se sitúa con 60 kt - 982hPa.


Saludos.
San Martín de la Vega del Alberche (1524msnm)
Ávila . Zona Norte (1130msnm)
Zaratán (Valladolid)  (750msnm)

rayo_cruces

aaa
*******
Supercélula
Mensajes: 6,786
"The long black cloud it`s coming down..."
Ubicación: Cuba
En línea
MELISSA sigue siendo por ahora tormenta tropical, pero eso debe cambiar muy pronto, muy probable para el próximo parte sea huracán. Las posibilidades de una RI son muy altas y para las próximas 48 horas el desplazamiento será mínimo y no son pocos los modelos que lo ven interactuando con Jamaica incluso varios días.

Saludos 8)
CRUCES, Cienfuegos, CUBA 22º 20`N; 80º 16`W; 90-100 msnm
Lluvia Med. Hist 1456 mm Temp. Seca(nov-abril) 288mm Temp Lluv.(may-oct) 1200mm, Record Hist diario: 1 Jun 1988 aprox 500mm
Temperaturas   Med. anual 25.3ºC  Feb. 20.7ºC Julio 28.2ºC  Max. 36.2ºC 02/05/09 Min. 6.2ºC 15/12/10
Desde el centro de Cuba donde tenemos rayos a montones y algún tornadito además de los huracanes que todos conocen.

Torrelloviedo

La vieja guardia de Meteored
*****
Supercélula Tornádica
Mensajes: 17,936
Ubicación: Oviedo
En línea
...MELISSA BECOMES A HURRICANE AND IS EXPECTED TO RAPIDLY INTENSIFY INTO A MAJOR HURRICANE BY THE END OF THE WEEKEND...
Oviedo Este (180m)

Oviedo Observatorio (336m)

gdvictorm

Administrador/a
*****
Supercélula Tornádica
Mensajes: 12,509
Ávila 19-mayo-2007 (tornado NSP, Valle Amblés)
Ubicación: Ávila (1130 msnm)
En línea
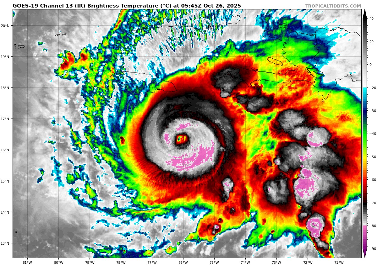
El vuelo de reconocimiento ya muestra a un posible categoría 2, apenas unas horas después de alcanzar intensidad de huracán. El proceso de RI está en marcha. Está gestando un núcleo convectivo organizado a una velocidad aterradora, actualmente ya se aprecia la pared del ojo. Se va a convertir en un monstruo antes del amanecer.





El NHC lo sube a categoría 2 con 85kt - 971hPa



Saludos.
San Martín de la Vega del Alberche (1524msnm)
Ávila . Zona Norte (1130msnm)
Zaratán (Valladolid)  (750msnm)

rayo_cruces

aaa
*******
Supercélula
Mensajes: 6,786
"The long black cloud it`s coming down..."
Ubicación: Cuba
En línea
Es que lo que estaba limitando el desarrollo de MELISSA era la cizalladura, el caribe norte central y occidental es de lo más "energético" posible, solo comparable con los mares de Filipinas, normalmente la cizalladura y el aire seco son los factores que pueden limitar el desarrollo pero cuando esos desaparecen pues es lo que toca. Sistemas que en un abrir y cerrar de ojos se vuelven monstruos.

Saludos 8)
CRUCES, Cienfuegos, CUBA 22º 20`N; 80º 16`W; 90-100 msnm
Lluvia Med. Hist 1456 mm Temp. Seca(nov-abril) 288mm Temp Lluv.(may-oct) 1200mm, Record Hist diario: 1 Jun 1988 aprox 500mm
Temperaturas   Med. anual 25.3ºC  Feb. 20.7ºC Julio 28.2ºC  Max. 36.2ºC 02/05/09 Min. 6.2ºC 15/12/10
Desde el centro de Cuba donde tenemos rayos a montones y algún tornadito además de los huracanes que todos conocen.

Pepeavilenho

Meteo Tropical
*****
Supercélula
Mensajes: 9,298
Ubicación: Avila (1200m)
En línea
105kts-958mb



Rapid intensification is expected to continue for the next 24-36 h,
and it is possible that during this time Melissa could intensify
even faster than what is currently forecast.  The regional hurricane
models show the cyclone peaking before it reaches Jamaica, and
based on this the new forecast keeps a 48-h peak intensity of 140
kt.


Probablemente estemos ya ante un Cat.4. Esto son 120kts.